4665 and 4773 Cemetery Road Proposed Property Disposition
Proposed Property Disposition Partnership Lease
Pursuant to the Community Charter, the District of Kent gives notice that it intends to lease:
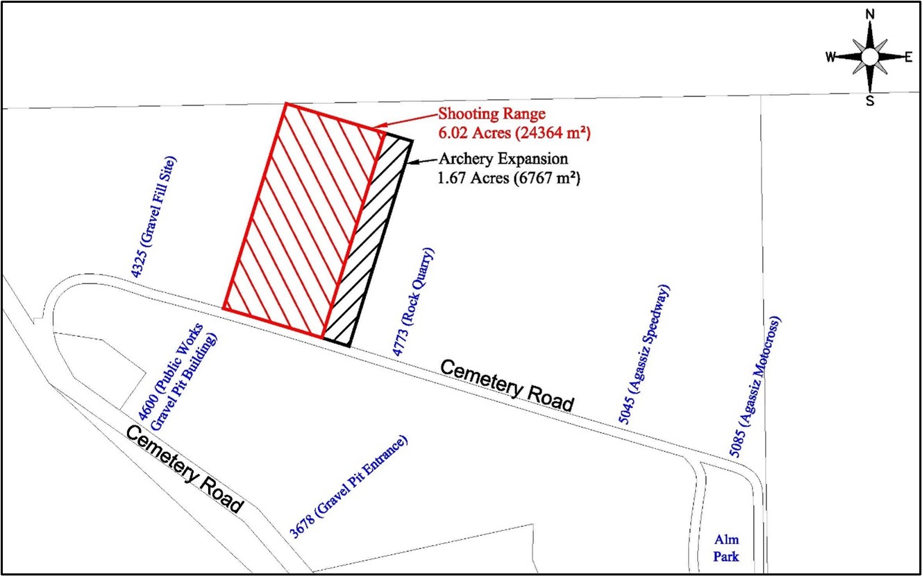
4665 Cemetery Road (as shown hatched in RED) and legally described as approximately 6 acres of land lying to the North of Cemetery Road covering a portion of NE ¼ of Lot 1, Plan BCP 4429, Section 34, Township 3, Range 29, Meridian W6, New Westminster District, Except Plan BCP11468, Plan BCP27720, Plan BCP41055, and Plan EPP14819 AND,
4773 Cemetery Road (as shown hatched in BLACK) and legally described as approximately 1.67 acres of land lying to the North of Cemetery Road covering a portion of NE ¼ of Lot 1, Plan BCP 4429, Section 34, Township 3, Range 29, Meridian W6, New Westminster District, Except Plan BCP11468, Plan BCP27720, Plan BCP41055, and Plan EPP14819.
This lease is for recreational purposes for the operation of a gun and archery range by the Agassiz-Harrison Rod and Gun Club for a five-year period, with an option to renew for additional five-year period, at a nominal fee of $5.00.

This is not a request for public tender.
For further information please contact Mr. Skylar Gormley, Manager of Recreation / Culture & Projects at 604-796-8891.
Wallace Mah,
Chief Administrative Officer
Contact Us
Visit Us
District of Kent
Box 70, 7170 Cheam Avenue
Agassiz, BC
V0M 1A0
Contact Us
Phone: 604-796-2235
Fax: 604-796-9854
Business Hours
Monday to Friday, 8:30 am to 4:30 pm
We are closed on statutory holidays.
Emergency after hours calls for Utilities or Public Works, please call 1-866-951-3718